Se inngrepene i Røros og Holtålen:

Naturen ødelegges bit for bit

Norge bygges gradvis ned. Bit for bit ofres naturen i framskrittets navn. Det gjelder også Røros og Holtålen. Se bildene fra de største inngrepene i Røros de siste 75 årene.

Publisert Sist oppdatert

Fjell-Ljom har fått tilgang til NRKs data som viser naturinngrep i Norge. Du kan lese mer om NRKs prosjekt i faktaboksen lenger ned i artikkelen.

Når det gjelder dokumentasjon av naturinngrepene, er Røros i en særstilling fordi det finnes flyfoto fra kommunen som går helt tilbake til 1937. I Holtålen går materialet tilbake til 1955.

Årsaken til inngrepene er i de aller fleste tilfeller velbegrunnede og ment å forbedre situasjonen for den enkelte eller for lokalsamfunnet. Noen vil bygge på huset, andre vil sette opp hytte, kommunen trenger ny idrettshall, idrettslaget trenger ny grusbane eller noen trenger et nytt grustak. Isolert sett er hvert enkelt inngrep lite.

Men når vi ser helheten, blir det mer skremmende. Naturen forsvinner i høy hastighet.

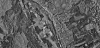
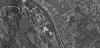
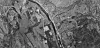
Under ser du tidsserier med bilder fra både Røros og Holtålen som viser de største naturinngrepene i de to kommunene. Trykk på de blå knappene for å komme til den bildeserien du ønsker. I tillegg til disse inngrepene kommer flere mindre inngrep, de fleste av dem grustak og hyttefelt.

Fakta om NRKs naturkartlegging

Ved hjelp av kunstig intelligens har NRK kartlagt alle naturinngrep i Norge de siste årene. Ved å analysere over 40.000 satellittbilder tatt fra 2017 til 2022, fikk de laget et kart med alle naturområder som var blitt bygget ned. Dette ble krysset med andre kart, for å se hvilke naturverdier som er bygget ned. Funnene presenteres i nettsaken 

Norge i rødt, hvitt og grått, og TV-serien Oppsynsmannen.

Røros sentrum

Røros sentrum 1937
Røros sentrum 1953
Røros sentrum 1963
Røros sentrum 1980
Røros sentrum 2009
Røros sentrum 2020

Glåmos sentrum

Glåmos 1937
Glåmos 1953
Glåmos 1960
Glåmos 1980
Glåmos 2003
Glåmos 2009
Glåmos 2012
Glåmos 2015
Glåmos 2020
Glåmos 2022

Grustak i Galåen

Galåen 1937
Galåen 1953
Galåen 1980
Galåen 2003
Galåen 2009
Galåen 2012
Galåen 2015
Galåen 2020

Hånesåsen

Hånesåsen 1937
Hånesåsen 1980
Hånesåsen 1997
Hånesåsen 2003
Hånesåsen 2012
Hånesåsen 2020

Grustak i Røros

Grustak i Røros 1937
Grustak i Røros 1963
Grustak i Røros 1976
Grustak i Røros 1980
Grustak i Røros 2003
Grustak i Røros 2009
Grustak i Røros 2015
Grustak i Røros 2020
Grustak i Røros 2022

Løvåsen i Haltdalen

Løvåsen 1955
Løvåsen 1979
Løvåsen 1993
Løvåsen 2007
Løvåsen 2010
Løvåsen 2022

Reitan i Ålen

Reitan 1962
Reitan 1979
Reitan 1993
Reitan 2002
Reitan 2007
Reitan 2010
Reitan 2014
Reitan 2022

Hådalen

Hådalen 1937
Hådalen 1953
Hådalen 1954
Hådalen 1963
Hådalen 1980
Hådalen 2003
Hådalen 2009
Hådalen 2012
Hådalen 2016
Hådalen 2020

Haltdalen sentrum

Haltdalen sentrum 1955
Haltdalen sentrum 1962
Haltdalen sentrum 1979
Haltdalen sentrum 1993
Haltdalen sentrum 2002
Haltdalen sentrum 2007
Haltdalen sentrum 2014
Haltdalen sentrum 2022

Sandnesodden

Powered by Labrador CMS